Aller au contenu

Réempoissonnement - Les Amis du Planty Website

Sauter le menu
Les Amis du PLANTY ASBL

Réempoissonnement

Coin Membres
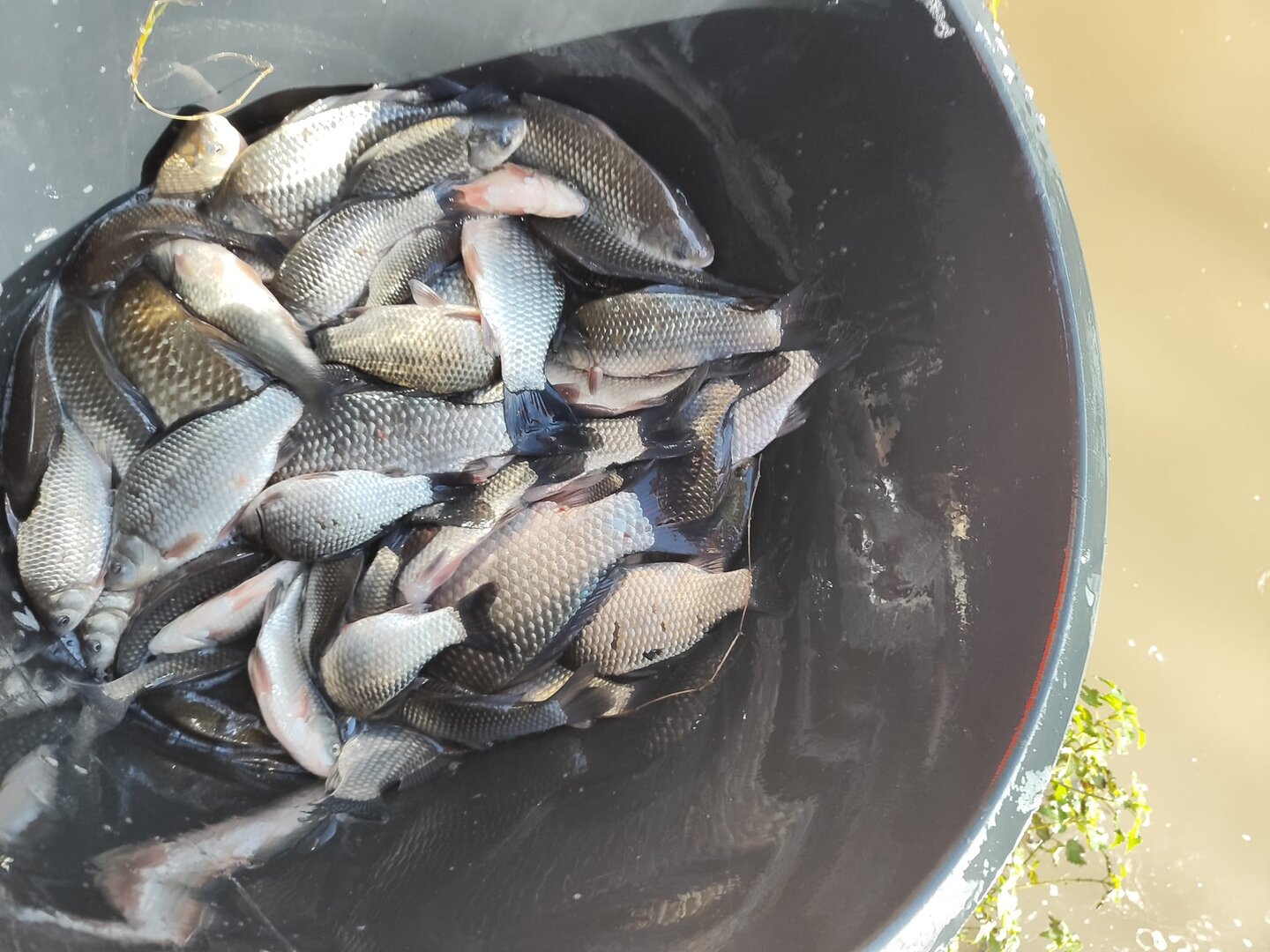
Réempoissonnement du 18 Novembre 2025  :

500 kg de magnifiques poissons
6 bassines de grosses carpes
7 bassines de carpes de 1 à 2kg
4 bassines de F1, et quels F1 !

Réempoissonnement du 19 Octobre 2024  :

500 kg de superbes poissons
9 bassines carpes
9 bassines de F1
Poissons entre 500 gr et 1kg200

Réempoissonnement du 3 Novembre 2023  :

560 kg de superbes poissons
6 bassines carassins, 150 kg
2 bassines de F1 50 kg
6 bassines de beaux gardons 150 kg
5 bassines de carpes 150 kg
2 bassines tanches 50 kg
Une dizaine d' amours blancs

3ème réempoissonnement 1er Novembre 2022  :

20 bassines pour 500 kg poids moyen par pièces environ 500gr, super poisson de coopepoisson

2ème réempoissonnement Janvier 2022  :

100 Kgs de carpes
200 Kgs de carassins et carpillons
100 Kgs de Tanches
100 Kgs de Gardons
50 Kgs d'Ides

Réempoissonnement Janvier 2022  :

300 Kgs de carpes
Réempoissonnement Octobre 2021  :

Journée Grosses Truites

Réempoissonnement Novembre 2020  :

carpes de 2 à 10 kg pour un total de 350 kg

Réempoissonnement Janvier 2020  :

300 Kgs de Carpes et 50 Kgs de brèmes

Réempoissonnement Octobre 2019  :

Grosses Truites 100 Kgs

Réempoissonnement Octobre 2018  :

Merci Thierry !


Réempoissonnement Novembre 2017  



Réempoissonnement octobre 2017  :

200 Kgs de CARPES
150 Kgs de CARASSINS
10   Kgs d'  IDES (40Kgs à venir)


Réempoissonnement 2017 :

410 Kgs de CARPES


Sauter le menu
Comite@lesamisduplanty.be
Retourner au contenu